Page Content
- Gallery image
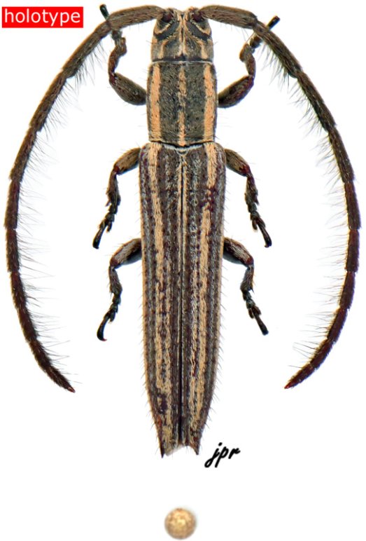
Dorcasta rorotaensis from French Guiana
Illustration of group, help to determine lamiines
Datas on labels
The lamiine represented below is
- from Guyane, Rémire-Montjoly, entre Fort Diamant et Rorota
- collected on 15.08.2007 10:00 by JP. Roguet with beating sheet
- Holotype of Dorcasta rorotaensis Roguet, 2025
- ranked among APOMECYNINI
- ♂ 8.3 mm long
- numbered #9,770 (serie #5,453/1) in coll. J.P. Roguet [JPRC]
- photographed by JP. Roguet
Gallery image
			