Insecta Coleoptera Cerambycidae


Page Content

  • Gallery image

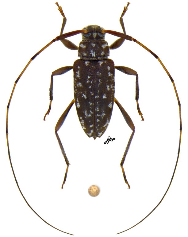
Anisopodus conspersus from French Guiana

Illustration of group, help to determine lamiines


Datas on labels

The lamiine represented below is

  • from Guyane, Piste Coralie, pk3
  • collected on 20.02.2001 17:00 by JP. Roguet with beating sheet
  • ranked among ACANTHOCININI
  • ♀ 5.5 mm long
  • numbered #6,932 (serie #2,128/1) in coll. J.P. Roguet [JPRC]
  • photographed by JP. Roguet