Insecta Coleoptera Cerambycidae


Page Content

  • Gallery image

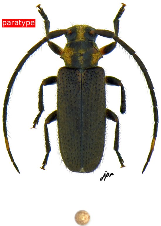
Callia inflexa from French Guiana

Illustration of group, help to determine lamiines


Datas on labels

The lamiine represented below is

  • from Guyane, Montagne de Kaw, pk40 (piste)
  • collected on 22.08.2003 15:30 by JP. Roguet with beating sheet
  • Paratype of Callia inflexa Roguet, 2025
  • ranked among CALLIINI
  • ♂ 5 mm long
  • numbered #6,209 (serie #2,063/1) in coll. J.P. Roguet [JPRC]
  • photographed by JP. Roguet