Insecta Coleoptera Cerambycidae


Page Content

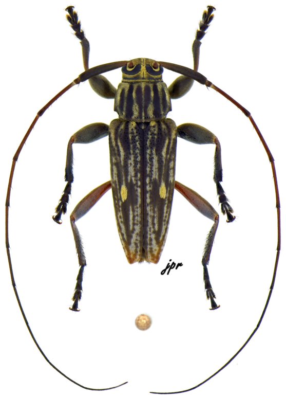
  • Gallery image

Nyssodrysternum ptericoptum from French Guiana

Illustration of group, help to determine lamiines


Datas on labels

The lamiine represented below is

  • from Guyane, Montagne de Kaw, PK36
  • collected on 14.09.2025 13:30 by JP. Roguet with beating sheet
  • named Nyssodrysternum ptericoptum (Bates, 1864)
  • ranked among ACANTHOCININI
  • ♂ 7.5 mm long
  • numbered #23,802 (serie #1,351/1) in coll. J.P. Roguet [JPRC]
  • photographed by JP. Roguet