Insecta Coleoptera Cerambycidae


Page Content

  • Gallery image

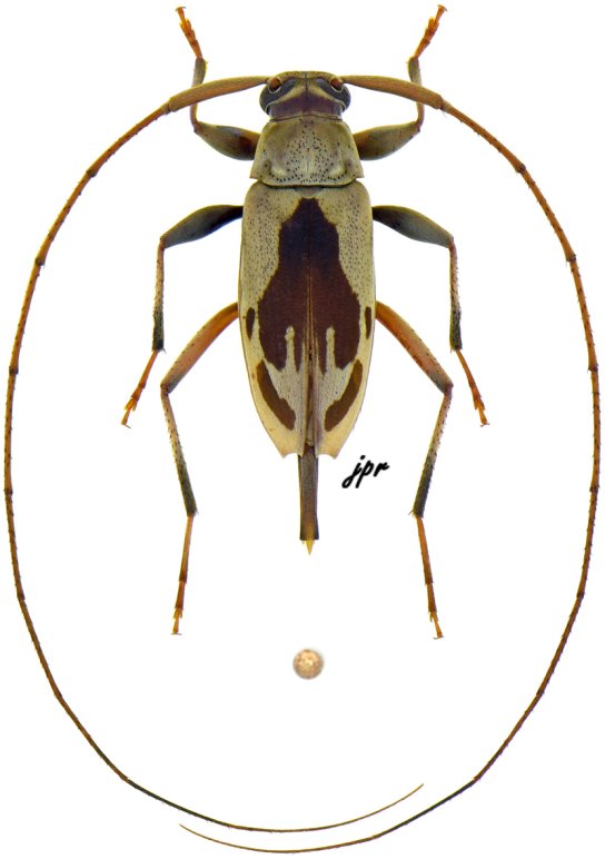
Paroecus celebensis from French Guiana

Illustration of group, help to determine lamiines


Datas on labels

The lamiine represented below is

  • from Guyane, Montagne de Kaw, RD6, pk29
  • collected on 19.09.2006 at light
  • collected/given by A. Audureau
  • named Paroecus celebensis (Thomson, 1857)
  • ranked among ACANTHOCININI
  • ♀ 11 mm long
  • numbered #14,870 (serie #240/1) in coll. J.P. Roguet [JPRC]
  • photographed by JP. Roguet