Insecta Coleoptera Cerambycidae


Page Content

  • Gallery image

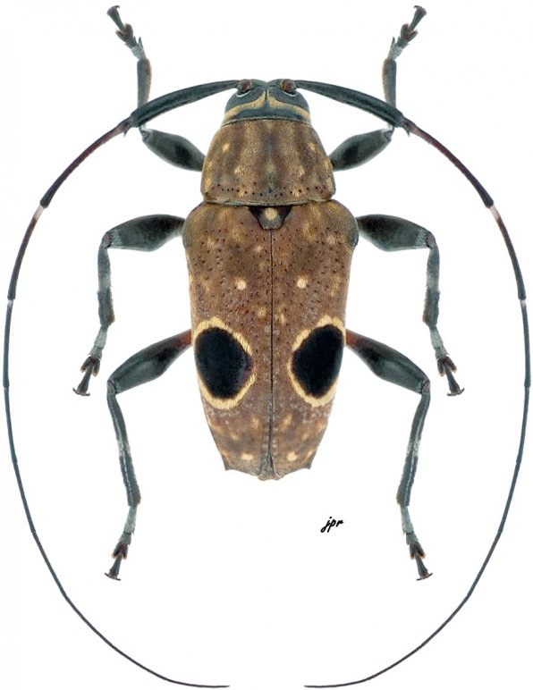
Priscilla hypsiomoides from French Guiana

Illustration of group, help to determine lamiines


Datas on labels

The lamiine represented below is

  • from Guyane, Montagne de Kaw, pk37 (piste)
  • collected on 19.08.2011 11:00 by JP. Roguet with beating sheet
  • ranked among COLOBOTHEINI
  • ♂ 8 mm long
  • numbered #14,521 (serie #18/1) in coll. J.P. Roguet [JPRC]
  • photographed by JP. Roguet