Insecta Coleoptera Cerambycidae


Page Content

  • Gallery image

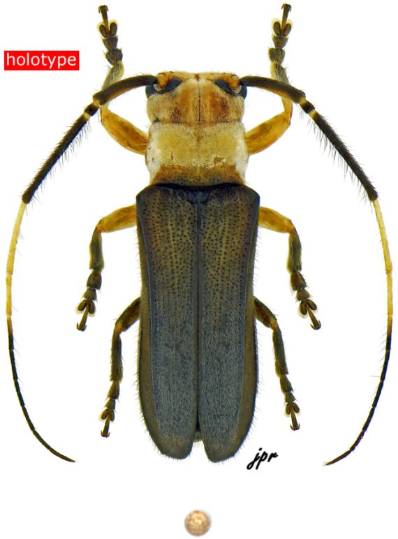
Adesmus patawaensis from French Guiana

Illustration of group, help to determine lamiines


Datas on labels

The lamiine represented below is

  • from Guyane, Montagne de Kaw, Camp Patawa, pk36
  • collected on 28.08.2011 at view during day
  • collected/given by O. Morvan
  • Holotype of Adesmus patawaensis Roguet, 2025
  • ranked among HEMILOPHINI
  • ♂ 9.6 mm long
  • numbered #14,451 (serie #5,456/1) in coll. J.P. Roguet [JPRC]
  • photographed by JP. Roguet