Insecta Coleoptera Cerambycidae


Page Content

  • Gallery image

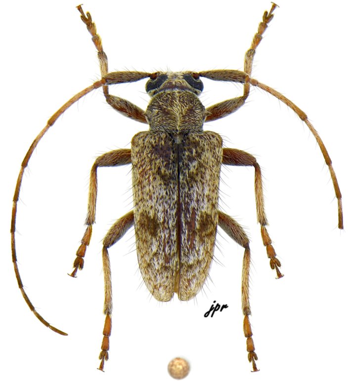
Piola colombica from Colombia

Illustration of group, help to determine lamiines


Datas on labels

The lamiine represented below is

  • from Colombie, Boqueron, 800m
  • collected on iii-2000
  • collected/given by G. Lecourt
  • ranked among PHACELLINI
  • ♂ 6 mm long
  • numbered #9,393 (serie #2,577/1) in coll. J.P. Roguet [JPRC]
  • photographed by JP. Roguet