Insecta Coleoptera Cerambycidae


Page Content

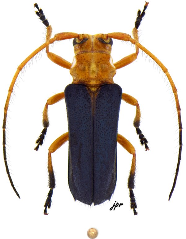
  • Gallery image

Canarana nigripennis from Ecuador

Illustration of group, help to determine lamiines


Datas on labels

The lamiine represented below is

  • from Ecuador, Puerto Napo, 500m, 5 km S of Tena
  • collected on 20.02.2002
  • collected/given by A. Kudrna
  • named Canarana nigripennis (Bates, 1866)
  • ranked among HEMILOPHINI
  • ♂ 10 mm long
  • numbered #8,327 (serie #5,463/8) in coll. J.P. Roguet [JPRC]
  • photographed by JP. Roguet