Insecta Coleoptera Cerambycidae


Page Content

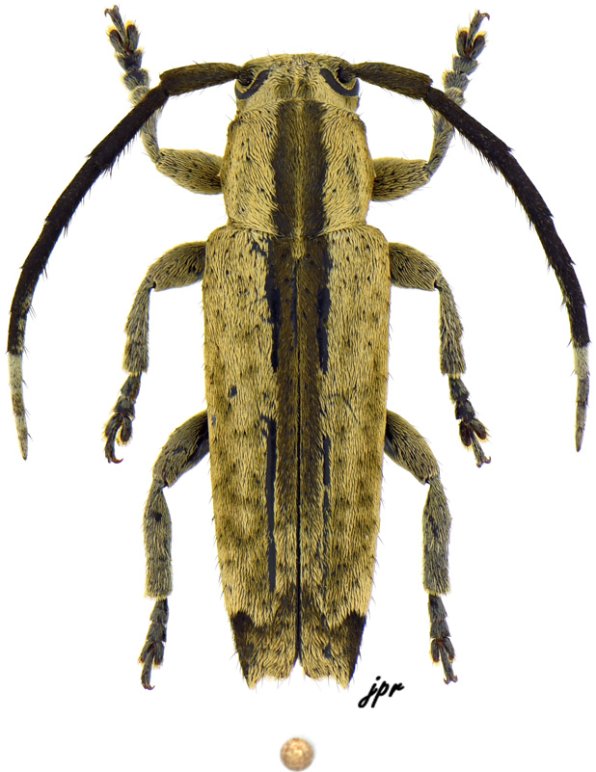
  • Gallery image

Ptericoptus similis from Venezuela

Illustration of group, help to determine lamiines


Datas on labels

The lamiine represented below is

  • from Vénézuela, Tejerias, La Victoria
  • collected on 16.07.1987
  • collected/given by P. Bleuzen
  • ranked among APOMECYNINI
  • ♀ 12 mm long
  • numbered #3,937 (serie #1,479/1) in coll. J.P. Roguet [JPRC]
  • photographed by JP. Roguet