Insecta Coleoptera Cerambycidae


Page Content

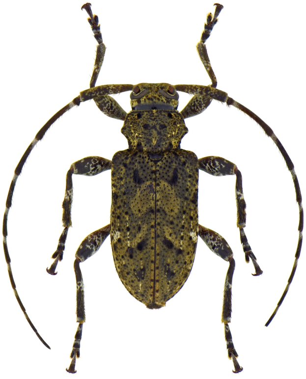
  • Gallery image

Leptocometes barbiscapus from El Salvador

Illustration of group, help to determine lamiines


Datas on labels

The lamiine represented below is

  • from El Salvador, San Pedro
  • collected on vii-2011
  • named Leptocometes barbiscapus (Bates, 1872)
  • ranked among ACANTHOCININI
  • ♀ 12 mm long
  • numbered #23,987 (serie #5,486/1) in coll. J.P. Roguet [JPRC]
  • photographed by JP. Roguet