Insecta Coleoptera Cerambycidae


Page Content

  • Gallery image

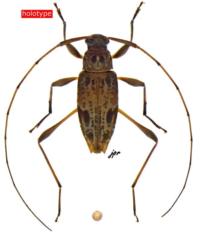
Anisopodus puertoquitoensis from Ecuador

Illustration of group, help to determine lamiines


Datas on labels

The lamiine represented below is

  • from Equateur, Pichincha, Puerto Quito
  • collected on ii-2009
  • collected/given by J. Touroult
  • Holotype of Anisopodus puertoquitoensis Roguet, 2026
  • ranked among ACANTHOCININI
  • ♂ 7 mm long
  • numbered #23,958 (serie #5,480/1) in coll. J.P. Roguet [JPRC]
  • photographed by JP. Roguet